
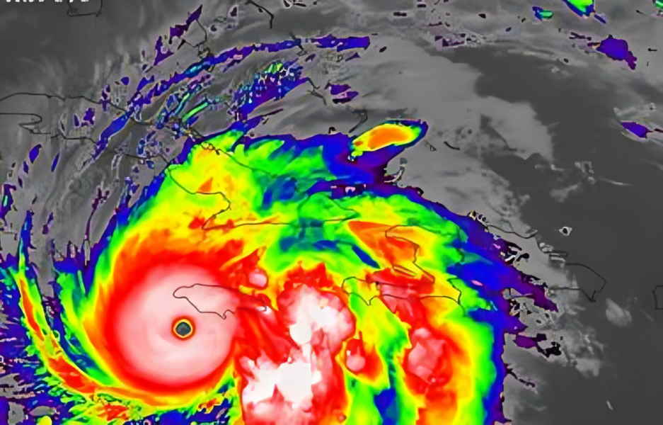
Santo Domingo.— El presidente Luis Abinader emitió los decretos 626-25 y 627-25, mediante los cuales declaró en estado de emergencia a 14 provincias y otras localidades del territorio nacional, tras el paso de la tormenta tropical Melissa, para facilitar las compras y contrataciones necesarias destinadas a atender la situación.
El decreto 626-25 establece que la situación de daños y afectaciones provocadas por el fenómeno natural se clasifica de carácter regional. En tanto, el decreto 627-25 declara de emergencia nacional las compras y contrataciones de bienes, servicios y obras por parte de las instituciones destinadas a las labores de reparación, construcción y reconstrucción de los daños ocasionados por el fenómeno atmosférico.
Las provincias que abarca esta clasificación son, Barahona, San Cristóbal, Santo Domingo, Distrito Nacional, San José de Ocoa, San Pedro de Macorís, Monte Plata, San Juan, Azua, Peravia, Pedernales, La Romana, La Vega y Monseñor Nouel, en adición a otras localidades en el territorio nacional.

Asimismo, las instituciones habilitadas a través de la excepción de emergencia nacional son, los ministerios de Salud Pública y Asistencia Social, Educación, Agricultura, Interior y Policía, Obras Públicas y Comunicaciones, Vivienda, Hábitat y Edificaciones (MIVHED), Administrativo de la Presidencia, Turismo y el Servicio Nacional de Salud (SNS).




